RA Noble & Co

Site At, Derrygally Way, Moy, Dungannon BT71 6LY

Building Site (with OPP) For Sale

Asking price £200,000

Print additional images & map (disable to save ink)

Photo 1 of Site At, Derrygally Way, Moy, Dungannon

Telephone:

028 8554 8242

View Online:

www.nobleauctioneers.co.uk/970612

Key Information

Address Site At, Derrygally Way, Moy, Dungannon
Status For sale
Price Asking price £200,000
Land type Building Site
Planning Outline Planning Permission
Size 0.5 acres

Additional Information

Site at 1 Derrygally Way, Moy, Dungannon, BT71 6LY

Outstanding C. 0.5Acre Dwelling Site With Adjoining C. 1.9 Acre Paddock Available 

Location
This spectacular dwelling site is superbly located in a sought after residential area. Accessed from and fronting onto Derrygally Way this ‘peaceful’ site is just C. 2 miles from Tamnamore roundabout and the M1 motorway providing excellent convenience to the fortunate purchasers.

Description
Rarely does an opportunity arise to purchase a natural dwelling site in this area. It is well known that it takes a great site to set of a beautiful home and this plot does not disappoint. This former orchard comprises excellent ground quality for construction and electricity services already cross the field in which the site is situated. 

The site benefits from private access from the Derrygally Way and frontage to both Derrygally Way and Trewmount Road.

Additional Paddock
As an added bonus the remainder of the field in which the site is located can be offered for sale if desired by prospective purchasers. The paddock comprises C. 1.9 acres and would be an ideal area for equestrian use, 
hobby farming or simply to provide some further private amenity space around your gorgeous new home.

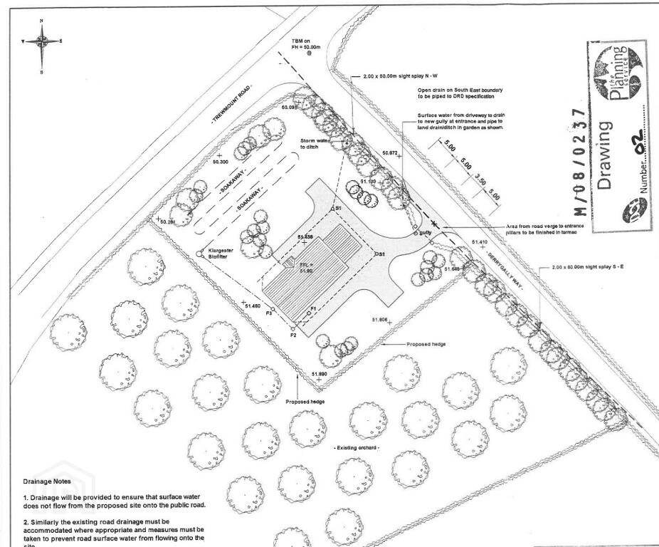
Planning
The site benefits from reserved matters planning approval. Planning Reference: M/2008/0237/RM.
This planning approval has also been verified by a Certificate of Lawfulness of Proposed Use or Development (CLUD) Reference No: LA09/2023/1321/LDP.

Full approved planning drawings available by request to our office. 

Sale Details

Dwelling Site—Offers in the region of £200,000.
Additional Paddock—Offers in the region of £100,000

Are you thinking of selling your property?

or would you like a Free valuation to advise what price you could expect if you decided to sell?

Like many of our valued clients already have, Give our proffessional team a call for a FREE no obligation confidential discussion on 02885548242 and we would be happy to assist you whatever property your enquiry relates to

  • RA Noble & Co

    RA Noble & Co

    028 8554 8242

Photo Gallery

Photo 1 of Site At, Derrygally Way, Moy, Dungannon Photo 2 of Site At, Derrygally Way, Moy, Dungannon Photo 3 of Site At, Derrygally Way, Moy, Dungannon Photo 4 of Site At, Derrygally Way, Moy, Dungannon Photo 5 of Site At, Derrygally Way, Moy, Dungannon Photo 6 of Site At, Derrygally Way, Moy, Dungannon Photo 7 of Site At, Derrygally Way, Moy, Dungannon Photo 8 of Site At, Derrygally Way, Moy, Dungannon Photo 9 of Site At, Derrygally Way, Moy, Dungannon Photo 10 of Site At, Derrygally Way, Moy, Dungannon Photo 11 of Site At, Derrygally Way, Moy, Dungannon Photo 12 of Site At, Derrygally Way, Moy, Dungannon Photo 13 of Site At, Derrygally Way, Moy, Dungannon

Visit www.nobleauctioneers.co.uk for further details.